Skip to content
  • STNI
  • Statistics
    • Ops and Passengers
    • Financials
    • Air Quality Monitoring
    • Flight Tracking
      • Flow and Flight Tracks
      • Five Year Comparison
      • Busiest Hours and Days
    • SEL Noise Reports & Graphs
      • Noise Events mapped
      • Noise Events (SEL)
        • About The Permanent Noise Monitors
    • Runways
    • Employees
    • Real Estate
      • Port Properties and Trees mapped
    • Parking
  • Events
  • Protest
    • Legislation 2026
    • Complain about a particular flight
    • Regular Events
    • Advocacy Organizations
    • Media Outlets
    • People
    • The Port of Seattle
      • Commission Meetings
      • Public Records Requests
      • StART
      • Highline Forum
    • Contact Your Electeds
  • Resources
    • FAQs
      • FAA Occurrences/Accidents/Indents
    • The unSustainable Airport Master Plan
      • SAMP Record of Decision/FONSI (2025)
      • SAMP Draft EA (October 2024)
      • 2018 Scoping
    • Port Packages
      • Port Package Property Costs
      • Port Packages mapped
      • The Port Package Explainer
      • So you want a (first-time) Port Package? Start here
      • Port Package Looker Upper
      • How do I determine if I have a Port Package or Avigation Easement?
      • Progress on Port Package Update legislation
      • Having a Port Package Problem?
      • Port Package Site Visit Follow-Up
    • Document Library
    • Explainers
      • The Airport Law Cheat Sheet
      • The Grant Explainer
    • External Articles
    • History
      • Timeline
    • Studies
    • Videos
  • Stories
  • Mission
  • Subscribe
  • Contact
Scroll down to content

Get InformedStay Informedx

I understand that you will never share my information with anyone, you will only use it to keep me updated on relevant events and that I may unsubscribe at any time.

STNI
STNI

STNISea-Tac Noise.Info

  • Solve for Sea-Tac. Solve for every airport.
  • Since 2016, working to obtain justice for everyone living under the flight path.
  • Less Noise. Cleaner Air. Better Public Health. Compensation.
  • Everything you think you know about the airport is wrong.

Tag224-78-R(6)

Advanced Search Options

  • Dates
  • Media
    • External Articles
    • Images
    • PDFs
    • Video
    • Audio
  • Order By
  • Bob Grieve protest letter Boeing HQ Relocation mailer

    CategoriesHistory Tags224-78-R, Boeing HQ, King County Council, letter
  • Bob Grieve open letter opposing 224-78-R Boeing HQ Rezone

    Tags224-78-R, Bob Grieve, Boeing, King County, Land Use
  • Boeing HQ Rezone EIS Maps

    228-78-R
    Tags224-78-R, Boeing, King County, Land Use
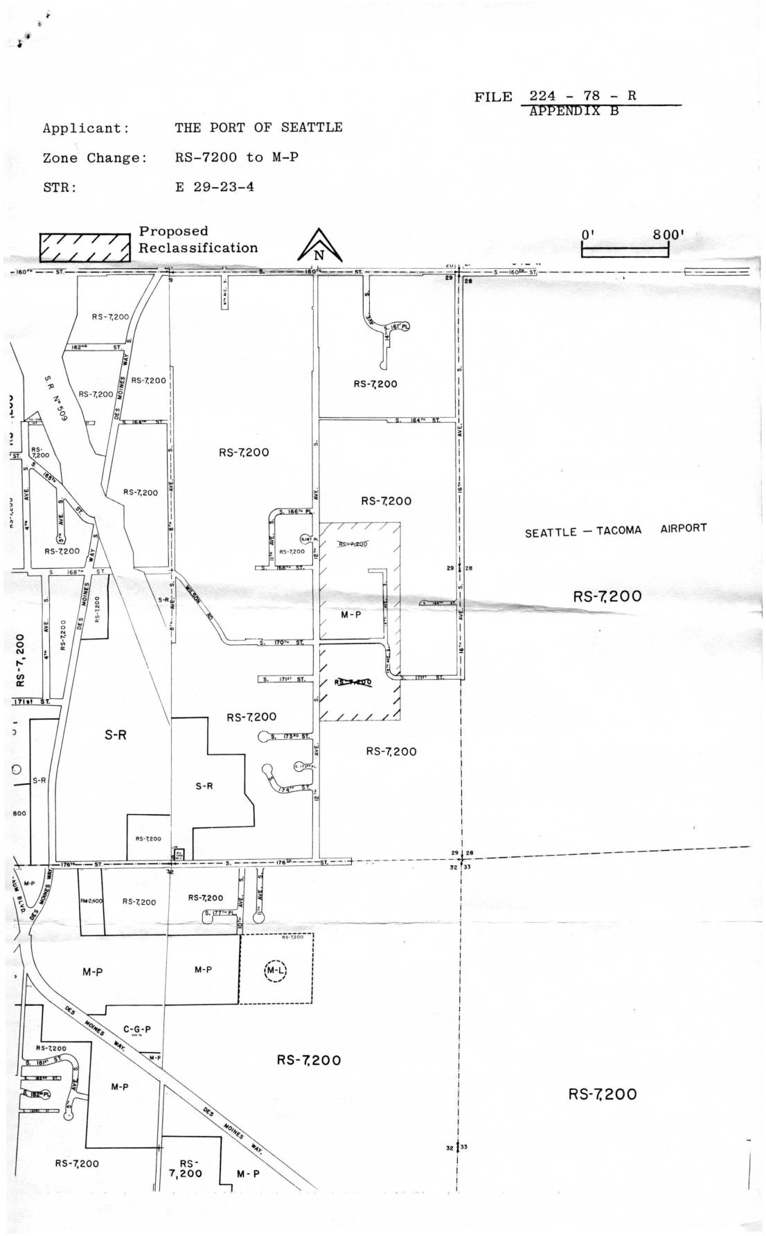
  • 224-78-R Boeing HQ Proposed Rezone Appendix B

    Boeing Headquarters rezone Westside
    CategoriesHistory Tags224-78-R, Boeing, King County, Land Use
  • 224-78-R Motion King County Council (Boeing HQ Rezone)

    Proposal to move Boeing headquarters to west side of airport noise buffer property from Sea-Tac Communities Plan
    CategoriesHistory, Key Documents Tags224-78-R, Boeing, King County, King County Council, Land Use
  • 1979-01-22

    Notice of Public Hearing – Port of Seattle Zoning Amendment 224-78-R

    King County notice of public hearing for Port of Seattle’s application to rezone 29.42 acres on 12th Avenue South from RS-7200 to RM-900-P for Boeing Company corporate headquarters. The hearing was scheduled for February 8, 1979.
    Tags224-78-R, Boeing HQ
Sidebar On/Off

Upcoming Events

  • Port of Seattle Regular Commission Meeting April 28, 2026
    Add to CalendarMTuesday Apr 28: 12:00pm
    17801 International Blvd, Seattle, WA 98158
    2026 04 28 RM Packet Pdf 1

    # New Business Items
    **Order No. 2026-04:** Directs Executive Director to explore a program facilitating secure area access for union business requirements at Seattle-Tacoma International Airport.

    **Resolution No. 3848:** Approves Port's participation in City of Bellevue's Tax Increment Area.

    **Fishermen's Terminal C-15 Building Improvements:** Authorization for Executive Director to approve funding to advertise and execute a major public works construction contract for project completion.

    [...]
  • StART (SEA Stakeholder Advisory Round Table) Meeting
    Add to CalendarMWednesday Apr 29, 5:00pm - 7:00pm
    Zoom Webinar
    Start Meetingagenda 2026429 Pdf 1

    - **SAMP Environmental Review**: Detailed comparison between SEPA Environmental Impact Statement and NEPA Environmental Assessment processes for Near-Term Projects
    - **Community Roundtable Updates**: Progress report on airport stakeholder engagement initiatives
    - **Next Steps**: Implementation timeline for environmental review findings

    **Notable Action Item:**
    Public comment period opened for stakeholder input on airport development plans.

    [...]
  • KCIA Vision 2045 Open House
    Add to CalendarMThursday May 14, 5:30pm - 7:30pm
    KCIA Flight Service Station, 6526 Ellis Ave. S. Seattle, WA 98108
    Kcia Boeing Field Beautyshotkcia

    King County International Airport-Boeing Field is at a pivotal moment, developing comprehensive plans that will determine its operations through 2045. The airport's Vision 2045 Airport Plan and Part 150 Study represent crucial strategic initiatives to balance safe, efficient operations with evolving aviation demands and community needs.

    Join airport officials on Thursday, May 14 (5:30-7:30 p.m.) at the KCIA Flight Service Station to discover the preferred alternative for the airport's future development. This isn't just another planning meeting—it's your opportunity to understand how proposed projects and improvements will directly impact aviation services, local operations, and surrounding communities.

    The Vision 2045 plan incorporates extensive stakeholder feedback and addresses critical infrastructure needs for future demand. Meanwhile, the Part 150 Study focuses on noise compatibility programs, ensuring community concerns remain central to planning decisions.

    With environmental analysis nearing completion and submissions to King County Council and the FAA approaching, this open house offers essential insights into decisions that will shape regional aviation for decades.

    Visit KCIAplanning.com for updates.

    [...]

[See all...]


Help study childhood asthma. Get free HEPA filter!

read more...

Issues

Sea-Tac Airport is currently undergoing the largest and longest expansion in its history, collectively known as the Sustainable Airport Master Plan (SAMP). Some of it you can already hear, but you’re probably not aware of what it all means. Here’s what you need to know.
read more...

Read This!

This is the first study to combine a one-year mobile monitoring campaign with PMF (Positive Matrix Factorization) analysis to simultaneously estimate source-specific air pollution exposures and emission factors of different vehicle types. This methodology can be extended to other metropolitan areas.
continue...

The Podcast!

Subscribe to the only podcast devoted to policies, politics, history, impacts for people living under the flight path everywhere. It’s definitely not just about noise!
  • Sea-Tac Noise.Info
  • Connect with STNI

    • Subscribe
    • Port Package Problem?
    • Donate
    • Podcast
    • Socials
      • Facebook
      • X (Twitter)
      • Bluesky

    "HOK_logo" — , 2025

  • Learn

    • Frequently Asked Questions
    • Explainers
    • Youtube
    • Research Requests
    • Make a complaint
  • Goals

    Fulfill the promises of 1976:
    • Compensation
    • Reduced noise
    • Improved air quality
    • Environmental remediation
Login/Register
©2026•Data Privacy

Message

Manage Cookie Consent
We use cookies to store and/or access device information. Consenting to these technologies will allow us to process data such as browsing behavior or unique IDs on this site. Not consenting or withdrawing consent, may adversely affect certain features and functions.
Functional Always active
The technical storage or access is strictly necessary for the legitimate purpose of enabling the use of a specific service explicitly requested by the subscriber or user, or for the sole purpose of carrying out the transmission of a communication over an electronic communications network.
Preferences
The technical storage or access is necessary for the legitimate purpose of storing preferences that are not requested by the subscriber or user.
Statistics
The technical storage or access that is used exclusively for statistical purposes. The technical storage or access that is used exclusively for anonymous statistical purposes. Without a subpoena, voluntary compliance on the part of your Internet Service Provider, or additional records from a third party, information stored or retrieved for this purpose alone cannot usually be used to identify you.
Marketing
The technical storage or access is required to create user profiles to send advertising, or to track the user on a website or across several websites for similar marketing purposes.
  • Manage options
  • Manage services
  • Manage {vendor_count} vendors
  • Read more about these purposes
View preferences
  • {title}
  • {title}
  • {title}
V V